طلاب الكلية الحربية دفعة 2023 في مصر يحتجون على حرمانهم من المستحقات رغم صرفها لدفعات لاحقة
كشف طلاب الكلية الحربية اليمنيون في جمهورية مصر العربية (دفعة 2023م) عن عدم استلامهم مستحق...
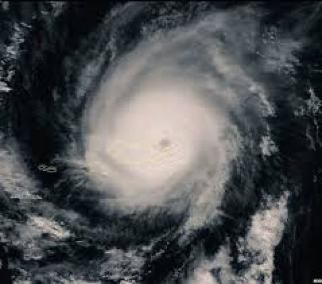
نشرت وسائل اعلامية خبر تهديد الأعصار ميغ لسواحل خليج عدن الاعصار الثاني اكبر ب 3 اضعاف من اعصار شابالا.
وتأتي هذه المعلومات في الوقت الذي رفع فيه الارصاد درجة التحذير إلى اللون الاحمر فيما أكد أن اعصار ميغ يجتاح الان جزيرة سقطرى.
وذكرت هذه الوسائل ان الاعصار نادر وقوي سوف يضرب أيضا السعودية واليمن وعمان الاسبوع القادم و تتراوح سرعته بين 220 و 230 كيلومترا في الساعة.
وحذرت هيئة الارصاد من ان الاعصار سوف يولد رياح عاتية لم تشهدها المنطقة من قبل منوهة أن الإعصار يتكثف بسرعة شديدة، وسيتحول خلال 24 ساعة إلى عاصفة من فئة «الأعاصير الفائقة».
وقالت ايضا ان المنطقة قد تشهد في ألايام القادمة أمطارا غزيرة جدا تعادل ما يسقط في عام كامل.