المقاومة الجنوبية بالضالع تغلق المنفذ الحدودي اغلقت المقاومة الجنوبية بالضالع اليوم المنفذ الحدودي مع اليمن واعلنت الاستعداد لمواجهة اي تقدم حوثي...
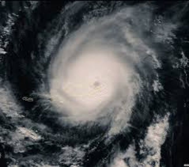
اعصار «ميغ» يجتاح جزيرة «سقطرى» والارصاد يرفع التحذير إلى "اللون الاحمر " نشرت وسائل اعلامية خبر تهديد الأعصار ميغ لسواحل خليج عدن الاعصار الثاني اكبر ب 3 اضعاف من اعصار شابا...
مقتل قائد مقاومة قعطبة في مواجهات مع الحوثيين في دمت قتل قيادي بارز في المقاومة الشعبية بمحافظة الضالع بالأمس ، في مواجهات مع الحوثيين في مديرية دمت. وأ...
نفي سيطرة الحوثيين على جبل الياس المطل على قاعدة العند نفت مصادر محلية في مديرية القبيطة محافظة لحج، الاشاعات التي روجتلها وسائل اعلام الحوثيين وصالح والتي...